Działka Daszewo gm. Karlino
Daszewo gm. Karlino Pokaż na mapie ›
Odświeżone: Czwartek, 20 Listopad, 2025 17:25
59 000 zł
40 zł/m2
Szczegóły ogłoszenia
- Kategoria: Działki i grunty / Sprzedaż
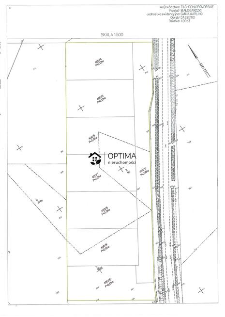
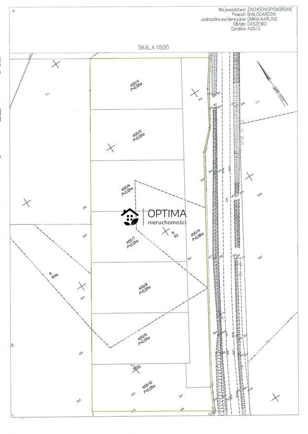
- Pow. działki:1482 m2
- Rodzaj działki:Budowlana
- Sprzedaż:Pośrednik
- Cena: 59 000 zł / 40 zł/m2
Opis oferty
Witolub położony jest w odległości 1,5km od Karlina, 10 km od Białogardu i 26km od Kołobrzegu.Malownicza i spokojna okolica. Najbliższe sąsiedztwo stanowią pola i domy jednorodzinne.
Przed podziałem uzyskano decyzję o warunkach zabudowy dla budynków mieszkalnych jednorodzinnych wraz z niezbędną infrastrukturą techniczną, zgodnie z którą:
- maksymalna powierzchnia zabudowy budynku mieszkalnego jednorodzinnego to 150m2,
- szerokość elewacji frontowej do 17m,
- wysokosć głównej kalenicy lub wysokość budynku max 9m licząć od poziomu terenu przu wejściu głównym do budynku,
- geometria dachu: dwu lub czterospadowy, kat nachylenia połaci dachowej od 25 do 45 stopni.
Po podziale ponownie wystąpiono o decyzję o warunkach zabudowy (oczekujemy na wydanie decyzji).
Należy wykonać własną studnię i zbiornik bezodpływowy. Prąd znajduje się przy granicy działki 400/11. W cenę działki wliczony jest udział w działce drogowej.
Serdecznie zapraszamy na prezentację. W przypadku zakupu nieruchomości za pośrednictwem naszego biura pobieramy wynagrodzenie.
W ofercie wykorzystano zasoby geoportal.gov.pl
Współpracujemy z doradcą kredytowym, który bezpłatnie udziela pomocy w zakresie uzyskania kredytu.
DODATKOWE INFORMACJE:
Typ własności: własność
DANE KONTAKTOWE:
OPTIMA
+48 690 - pokaż numer telefonu -
@
https://www.optima.nieruchomosci.pl/
LINK DO OFERTY:
https://www.optima.nieruchomosci.pl/oferta/626
Treść niniejszego ogłoszenia nie stanowi oferty handlowej w rozumieniu Kodeksu Cywilnego. Treść ma charakter informacyjny i zalecamy ich osobistą weryfikację. Kontaktując się z biurem Klient wyraża zgodę na przetwarzanie danych osobowych zgodnie z przepisami ustawy z dnia 10 maja 2018 roku o ochronie danych osobowych /Dz.U.2019 r poz. 1781 t.j./. Klientowi przysługuje prawo do wglądu do swoich danych osobowych i ich aktualizacji. Zdjęcia i opisy w tej ofercie objęte są ochroną praw autorskich majątkowych i osobistych, stanowią własność w świetle prawa autorskiego. Wykorzystywanie ich lub rozpowszechnianie bez pisemnej zgody autora, jest naruszeniem praw autorskich i pociąga za sobą odpowiedzialność prawną.
Oferta wysłana z programu IMO dla biur nieruchomości
Numer oferty: 626
Sprawdź zainteresowanie tym ogłoszeniem
Wyświetlenia
Data dodania
Ostatnio widziany
Obserwujących
Wysłane zapytania
Odsłony telefonu
- Wypromuj ogłoszenie
- Zgłoś naruszenie
- Drukuj ulotkę
- Edytuj/usuń ogłoszenie
- Udostępnij ogłoszenie
- Dodaj na Facebook

















